神戸・須磨海岸の釣果情報(吉川釣具店)

神戸・須磨海岸の釣果情報(吉川釣具店)

PR

Category

Profile

MASA3125

MASA3125

Comments

吉川釣具店です@ Re[1]:今日は釣り人1人、しかし‼️(07/25) Ys!さんへ。 コメントありがとうございま…
Ys!@ Re:今日は釣り人1人、しかし‼️(07/25) はじめまして ブログいつも楽しく見させて…
ありがとうございます😆@ Re:カレイ&キスも🎵(07/19) ブイがあっても釣れるんですね!次の連休…
MASA3125 @ Re[2]:カレイ&キスも🎵(07/19) 摂津市のTさんへ 助け船、ありがとうござ…
MASA3125 @ Re[1]:カレイ&キスも🎵(07/19) 浜崎伝助さんへ メッセージをご参考にな…

Calendar

Keyword Search

▼キーワード検索

Favorite Blog

気まぐれ日記 勝ちやん9486さん
2017.11.02
XML
カテゴリ: 釣果情報
吉川釣具店です

やっと休日の好天に恵まれそうです。

釣り人もホッとしているでしょうが釣業界も一年で一番の釣り季節を迎えて
安堵しているのではないでしょうか?

そんな気配を察知してかカレイの大物が上がりアジも良型が鈴なりの釣果でした。

昨日はキスの良型も上がり、気分よく連休を迎えられますね。

では、釣果情報です

昨日は須磨のしんちゃんがキス、チャリコの釣果でした。







アジはPMから入れ食いでした。



本日は朝からアジは入れ食い

写真は途中経過ですが須磨の前田様の釣果。

そこそこの型が数十匹を頂き、南蛮漬けでいただきました。





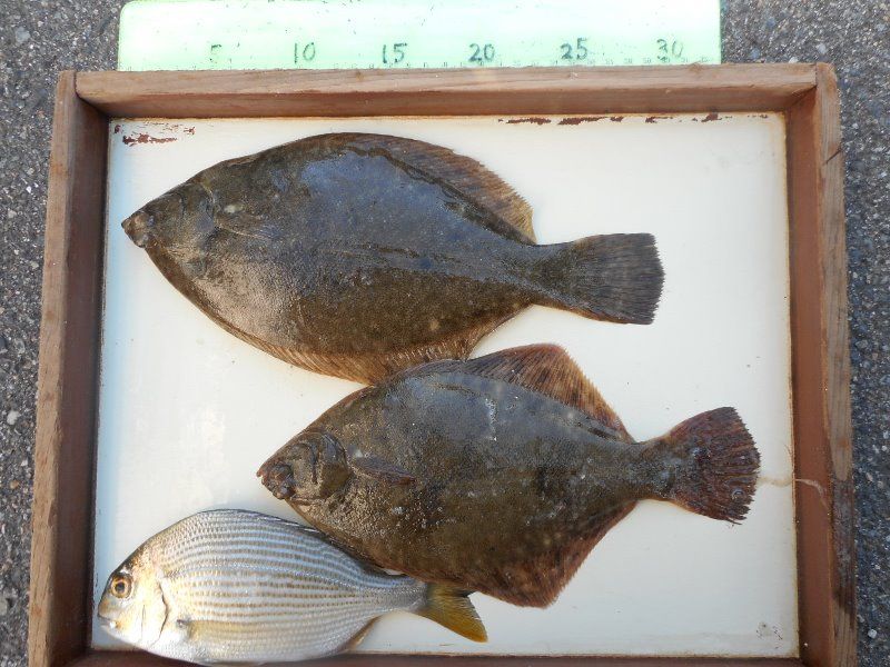
カレイの写真がやっと入手できました

鈴蘭台の土肥様

カレイ;29cm、26cm、ヘダイの釣果です





締めは40cmのカレイ

釣り人は枚方の高橋様

すごいですね~。







以上、須磨の釣果です。





お気に入りの記事を「いいね!」で応援しよう

Last updated  2017.11.02 17:42:07
コメントを書く


【毎日開催】
15記事にいいね!で1ポイント
10秒滞在
いいね! -- / --
おめでとうございます!
ミッションを達成しました。
※「ポイントを獲得する」ボタンを押すと広告が表示されます。
x
X

© Rakuten Group, Inc.
X
Design a Mobile Site
スマートフォン版を閲覧 | PC版を閲覧
Share by: