外房大原港 釣り船 勇盛丸日記(釣果&出船予定)

PR

プロフィール

勇盛丸

勇盛丸

カレンダー

キーワードサーチ

▼キーワード検索

コメント新着

aki@ Re:勇盛丸のお願い🙏と出船予定⛵️💨💨💨です(01/19) この様な書込大変失礼致します。日本も当…
2020.01.04
XML
カテゴリ: カテゴリ未分類

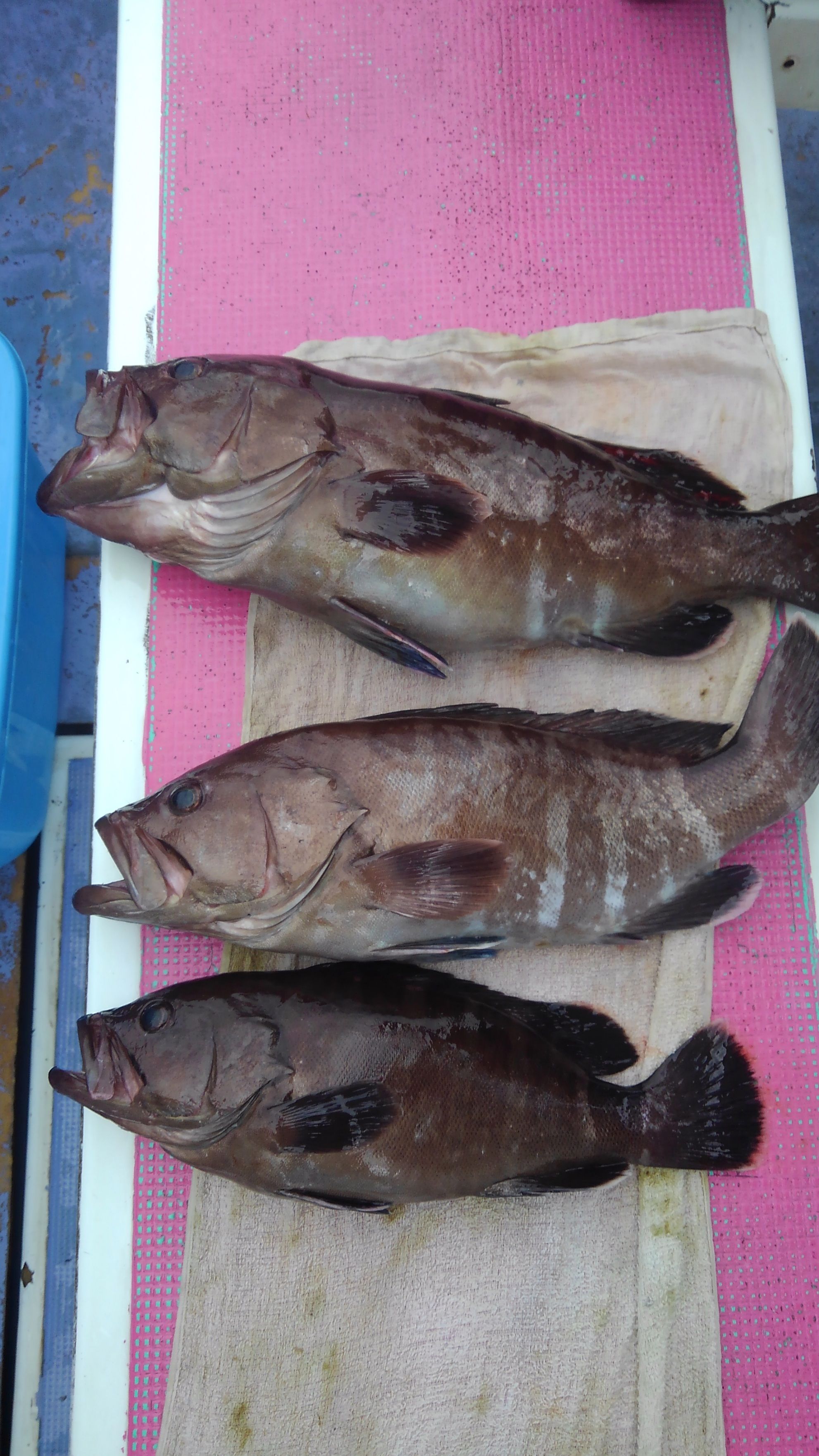
初出船でマハタに出船しました


ポイントは岩船沖
⛵️

水深裸50m前後を狙いました
😆


潮が速く
😅





底の棚を取れれば


1.0kg前後のマハタが釣れました❗
👍️

後半になると、次第に潮が速まってきたので
😅


灘に移動
🚢🚢🚢



そこで

小サイズのハタ

ガンゾウ

も釣れました


時間までに

小サイズ~1.3kgのマハタを

1匹~3匹

いい釣り始めになりました
✌️




…………↓…………

明日・1月5日の日曜日は
ヒラメに出船いたします
✌️
今のところ4名のお客さんから予約を頂いております
m(._.)m


新春沖釣りフェスタ


1月12日の日曜日に開催
👍

ご予約お待ちしております
m(._.)m


今後の釣り物です
…………↓…………


全区間で解禁となったヒラメ&マハタ
✌️



鬼カサゴ (初心者も安心 電動貸し道具あり)


メヌケ (夢ではない提灯行列)
激流だった潮が落ち着いたのでチャンスです


一つテンヤマダイ (テンヤ カブラ タイラバゲーム) 




お知らせです
…………↓………


12月からは

集合時間が4時50分

投入時間が6時となりました
😌


探見丸 

スマホ対応アンテナ搭載しております

シマノ探見丸 スマートフォンで

見る事が出来ます

無料アプリ配信中です
(^^)v



勇盛丸は、ジギング専門ではないのですが
(;^_^A


ジギングも乗り合いで楽しんでもらえたら、嬉しいですね
(^^)b

その他、お問い合わせは

亘船長

090 2932 3575

0470 62 2086

までお願いします
m(._.)m


大原港の優漁船の休日は、第一・第三の月曜日です
(^_^)y-゜゜゜゜゜



お客さんへのお願いです
……↓……

勇盛丸では、常にお客さんの安全を考えて操業しております

【安全1番・楽しさ2番・最後に釣果はついてくる♪♪♪】《文明堂カステラcmのパクりですが………(^-^ゞ》

をテーマに

命を預かる商売ですので、いつも慎重かつ冷静な操船を心掛けております

その為には、お客さんのご協力が不可欠ですので

生意気な言い方かもしれませんが

海の上では、マナーと船長の指示を必ず守ってくださるよう、お願いいたします







お気に入りの記事を「いいね!」で応援しよう

最終更新日  2020.01.05 12:05:46 コメントを書く


【毎日開催】
15記事にいいね!で1ポイント
10秒滞在
いいね! -- / --
おめでとうございます!
ミッションを達成しました。
※「ポイントを獲得する」ボタンを押すと広告が表示されます。
x
X

© Rakuten Group, Inc.
X
Design a Mobile Site
スマートフォン版を閲覧 | PC版を閲覧
Share by: