外房大原港 釣り船 勇盛丸日記(釣果&出船予定)

PR

プロフィール

勇盛丸

勇盛丸

カレンダー

キーワードサーチ

▼キーワード検索

コメント新着

aki@ Re:勇盛丸のお願い🙏と出船予定⛵️💨💨💨です(01/19) この様な書込大変失礼致します。日本も当…
2020.07.24
XML
カテゴリ: カテゴリ未分類

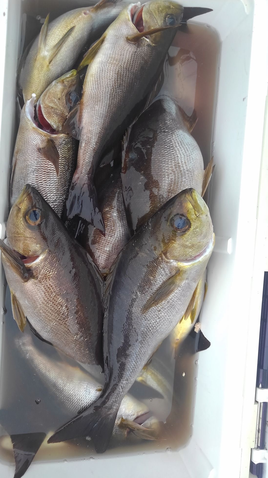
Lightタックル・イサキに出船しました‼️
✌️


ポイントは大原沖
⛵️⛵️⛵️


水深20m~30mの根周りを狙いました。
👀👀👀


開始から大型抱卵イサキが ダブル・トリプルと好調‼️
👍️



😅


日中になると、食いが悪くなりましたが
😅


ポツポツ暇なく釣れました!
😌


時間までに

大型抱卵イサキを

12匹~43匹‼️
👌


出船予定です
………↓………



乗船のお客さんを募集中です
m(._.)m


7月26日の日曜日は
Lightタックル・イサキに出船いたします
👍️

m(._.)m



7月27日の月曜日も
Lightタックル・イサキに出船いたします
👍️
今のところ3名のお客さんから予約を頂いております
m(._.)m


7月28日の火曜日も
Lightタックル・イサキに出船いたします
👍️
今のところ3名のお客さんから予約を頂いております
m(._.)m 



今後の釣り物です
…………↓…………


Lightタックル・イサキ

ヤリイカ

根魚五目


鬼カサゴ (初心者も安心 電動貸し道具あり)


メヌケ (夢ではない提灯行列)


一つテンヤマダイ (テンヤ カブラ タイラバゲーム) 




お知らせです
…………↓………

探見丸 

スマホ対応アンテナ搭載しております

シマノ探見丸 スマートフォンで

見る事が出来ます

無料アプリ配信中です
(^^)v



勇盛丸は、ジギング専門ではないのですが
(;^_^A


ジギングも乗り合いで楽しんでもらえたら、嬉しいですね
(^^)b

その他、お問い合わせは

亘船長

090 2932 3575

0470 62 2086

までお願いします
m(._.)m


大原港の優漁船の休日は、第一・第三の月曜日です
(^_^)y-゜゜゜゜゜



お客さんへのお願いです
……↓……

勇盛丸では、常にお客さんの安全を考えて操業しております

【安全1番・楽しさ2番・最後に釣果はついてくる♪♪♪】《文明堂カステラcmのパクりですが………(^-^ゞ》

をテーマに

命を預かる商売ですので、いつも慎重かつ冷静な操船を心掛けております

その為には、お客さんのご協力が不可欠ですので

生意気な言い方かもしれませんが

海の上では、マナーと船長の指示を必ず守ってくださるよう、お願いいたします








お気に入りの記事を「いいね!」で応援しよう

最終更新日  2020.07.25 14:40:07
コメントを書く


【毎日開催】
15記事にいいね!で1ポイント
10秒滞在
いいね! -- / --
おめでとうございます!
ミッションを達成しました。
※「ポイントを獲得する」ボタンを押すと広告が表示されます。
x
X

© Rakuten Group, Inc.
X
Mobilize your Site
スマートフォン版を閲覧 | PC版を閲覧
Share by: