やま’s ROOM

やま’s ROOM

PR

Freepage List

Profile

yamachang

yamachang

Keyword Search

▼キーワード検索

Favorite Blog

収入稼ぎ活動日記 mizunoami2455さん
緊急車両24時 千葉616さん
行け! 泡盛マイス… 泡盛マイスターさん
現地沖縄 まねきはなさん
金持ちじぃさんの日記 $金持ち$じぃさん$さん

Comments

http://buycialisky.com/@ Re:昨日の風景。(01/25) generic versus genuine cialis tadalafil…
http://viagraky.com/@ Re:昨日の風景。(01/25) cuanto sale el viagra en argentina 201…
http://viagravonline.com/@ Re:携帯ストラップ作ってみました!!(11/04) o viagra age por quanto tempo <a hr…
http://buycialisonla.com/@ Re:サーバーがダウン!!(07/17) viagra vs cialis vs extenzecialis compa…
http://buycialisonla.com/@ Re:富士、フジ、ふじ~(^^♪(11/16) alternatives to viagra and cialiscialis…
2015年07月07日
XML
カテゴリ: ダイビング・海
前日の恩納村に続き、この日は水納島でボートダイブ3本。



「灯台下」、「クロワッサン」、水納島に上陸し昼食を挟んで「ポートサイド」。



ざっと、写真で振り返り。



DSCF4790_ハダカハオコゼ.JPG
サンゴについたハダカハオコゼ(ピンク)。

DSCF4819_クマノミ.JPG
穴の中のクマノミ。

DSCF4837_ハリセン.JPG
ハリセンボンとオジサン。

DSCF4840_ハリセン.JPG
脱兎のごとく逃げるハリセンボン。

DSCF4858_群れ.JPG
魚が多いこと(^-^)

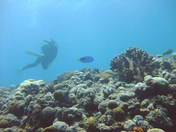
DSCF4880_ナンヨウハギ.JPG

DSCF4884_ナンヨウハギ.JPG

DSCF4888_ナンヨウハギ.JPG
ナンヨウハギたち。

DSCF4893_ハタタテ.JPG


DSCF4904_ハナビラウツボ.JPG
ハナビラウツボ。

DSCF4909_水納島.JPG
オジサン2人、水納島へ上陸。

DSCF4910_水納島.JPG
昼食を終えて、船に戻ろう。

DSCF4918_チンアナゴ.JPG
ガーデンイール、この日は結構近づけました。

DSCF4923_ヤシャハゼ.JPG
ヤシャハゼもそれなりに。

DSCF4945_ハダカハオコゼ.JPG
ハダカハオコゼ(白)、キレイ(^-^)

DSCF4952_発見.JPG
何かを見つけたような。

DSCF4937_クマノミ.JPG

DSCF4874_ハマクマノミ.JPG

DSCF4954_クマノミ.JPG

DSCF4956_ハマクマノミ.JPG
いろんなクマノミたち。



台風が近づいていたので、心配でしたが、
海面がちょっとうねってはいたものの、海中は比較的穏やかで、透明度も良好



今回のダイビングは2日で6ダイブ、
ミントクルーズ のMICHIさんにお世話になりました。





お気に入りの記事を「いいね!」で応援しよう

Last updated  2015年07月11日 22時49分48秒
コメントを書く
[ダイビング・海] カテゴリの最新記事


【毎日開催】
15記事にいいね!で1ポイント
10秒滞在
いいね! -- / --
おめでとうございます!
ミッションを達成しました。
※「ポイントを獲得する」ボタンを押すと広告が表示されます。
x
X

© Rakuten Group, Inc.
X
Mobilize your Site
スマートフォン版を閲覧 | PC版を閲覧
Share by: