chococco のスイーツ*パン倶楽部 ひたすら食い意地

chococco のスイーツ*パン倶楽部 ひたすら食い意地

2025.07.29
XML
カテゴリ: 沖縄旅行

今日もアクティビティツアーを申し込みました
海猫さんという会社の一日コース 西表島バラス島周辺&鳩間島+船長お任せポイントシュノーケリング
ちなみに海猫さんは​ 昨日ツアーに参加した ​西表島モンスーンさんのガイドさんに教えて頂きました


今日は​ ヴィラうなりざき <西表島> ​さんをチェックアウトして​ 西表島ホテル by 星野リゾート<西表島> ​さんに移動する日だったので、チェックアウトして星野リゾートに送ってもらってから荷物を預けて、そこにツアー会社の方に迎えに来ていただきました


まずはお店に行ってライフジャケットとフィン、シュノーケルマスクを借りてお店の船に乗って出発です
西表島 海猫 アクティビティツアー 船上
海が荒れてて結構バッシャンバッシャン濡れます



海が荒れていて最初のシュノーケルスポットがなかなか見つかりません
この日は海がめちゃくちゃしけていたみたいで(後からxを見たら今年一番のシケって書いてあったw)いろんなツアー会社の船がスポット探しでウロウロしていましたwww


最初に行きたかった初心者向けのスポットは入れる感じじゃなく、何か所か周って見ても波がすごかったので、最初からちょっと難しめのスポット
しかもやっぱり波は荒め
だけどご一緒した方は経験者で、船長さんが持っている浮き輪に一人でつかまることが出来たのでなんとか写真が撮れました
西表島 海猫 アクティビティツアー シュノーケリング

西表島 海猫 アクティビティツアー シュノーケリング
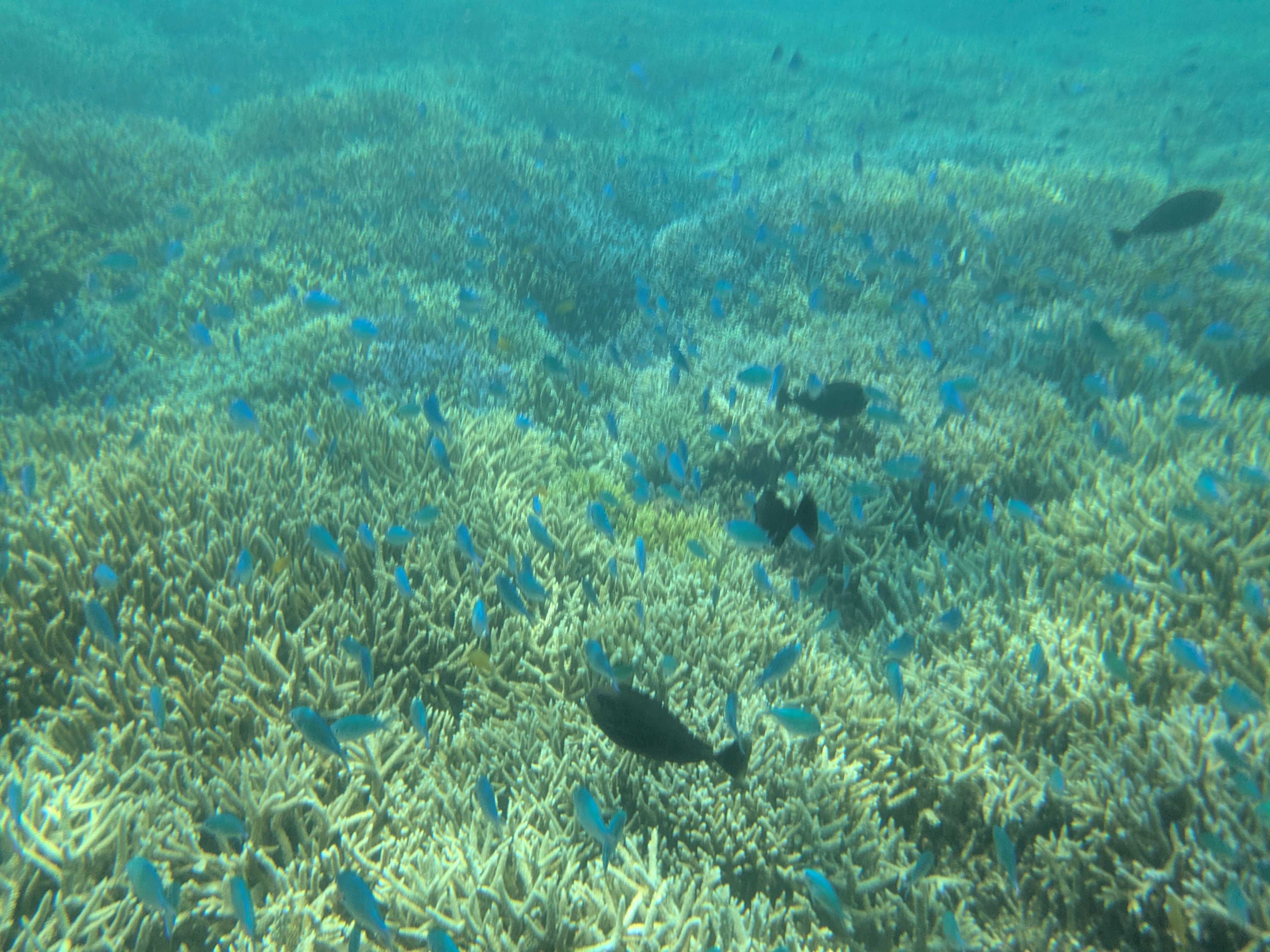
午前中で3か所くらいシュノーケリングしたかな
大きいテーブルサンゴがあるところや枝珊瑚があるところ…
波は荒いけどキレイ
息子も主人もスイスイ、ウミヘビやカクレクマノミ、いろんなお魚が見られました
だけど午後になって晴れ間がでたらもっとキレイでした


そして、待ちに待った鳩間島上陸
西表島 海猫 アクティビティツアー 鳩間島上陸
本当は4日前に来るはずだった ​けれど、シケで船が結構してこられず
念願の上陸


軽く案内をしてくれた後にホシゾラショクドウさんでランチです
西表島 海猫 アクティビティツアー 鳩間島 ホシゾラショクドウ 外観


ツアー料金に含まれていて好きなものを選んで良いという感じ。
メニューは八重山そばとかカレーとかあった中でタコライスを選択
西表島 海猫 アクティビティツアー 鳩間島 ホシゾラショクドウ タコライス

食べやすくて美味しかったですぺろり


お店の方も子どもに気軽に話しかけてくださって優しくて子供が懐きました
ごちそうさまでした


​ホシゾラショクドウ
沖縄県八重山郡竹富町鳩間111−1
https://www.instagram.com/hoshizora_shokudo/


お店の2階はちょっとしたお土産が売っていたので鳩間島バッグを購入
子どものお気に入りです大笑い
西表島 海猫 アクティビティツアー 鳩間島 ホシゾラショクドウ売店で購入した鳩間島バッグ 自分へのお土産


そして鳩間島での自由時間
ランチを食べ終わった12時頃から13:30まで自由に散策タイム
その間にガイドさんが午後からツアーに合流する家族を連れてくるとのことでした​


歩いて回れる小さな島なので適当にテクテク
西表島 海猫 アクティビティツアー 鳩間島 子どもも歩いて散策


集落からもほど近い屋良浜
西表島 海猫 アクティビティツアー 鳩間島 屋良浜の入口


キレイなビーチ
西表島 海猫 アクティビティツアー 鳩間島 屋良浜
だけど波がちょっと荒くて、ライフジャケットもシュノーケルの道具も船に置いてきてしまったので子連れで泳ぐには危ないので見るだけで断念


結局一番穏やかという港の近くの浜に戻ってきました
前の浜
西表島 海猫 アクティビティツアー 鳩間島 前の浜
遠浅でかなり穏やか
防波堤に囲まれているので外の海と比べて全くと言っていいほど波がありません
そして港の近くなのにめちゃくちゃ海がキレイ
西表島 海猫 アクティビティツアー 鳩間島 前の浜
息子も足が届く範囲でパシャパシャ
シュノーケルの道具が無くても結構魚が見えます


昼間は割と少ないヤドカリも結構いました
西表島 海猫 アクティビティツアー 鳩間島 前の浜 やどかり一杯

そんなこんなで集合時間になったのですぐ横の港に来た船にのって再びシュノーケルに出発
西表島 海猫 アクティビティツアー 船
相変わらずバッシャンバッシャン水がかかって、やや波は荒れてますが午前より大分ましになったそう
そしてお日様もたまに出てきてくれるようになりました


お日様が出ると海の中の景色も断然輝きます
西表島 海猫 アクティビティツアー 子連れシュノーケル

午後から来た小学生姉妹がシュノーケリングが上手でいろいろ発見してました
西表島 海猫 アクティビティツアー 子連れシュノーケル

写真撮れなかったけれどイカの大群がいたりして面白かったです
西表島 海猫 アクティビティツアー 子連れシュノーケル

西表島 海猫 アクティビティツアー 子連れシュノーケル


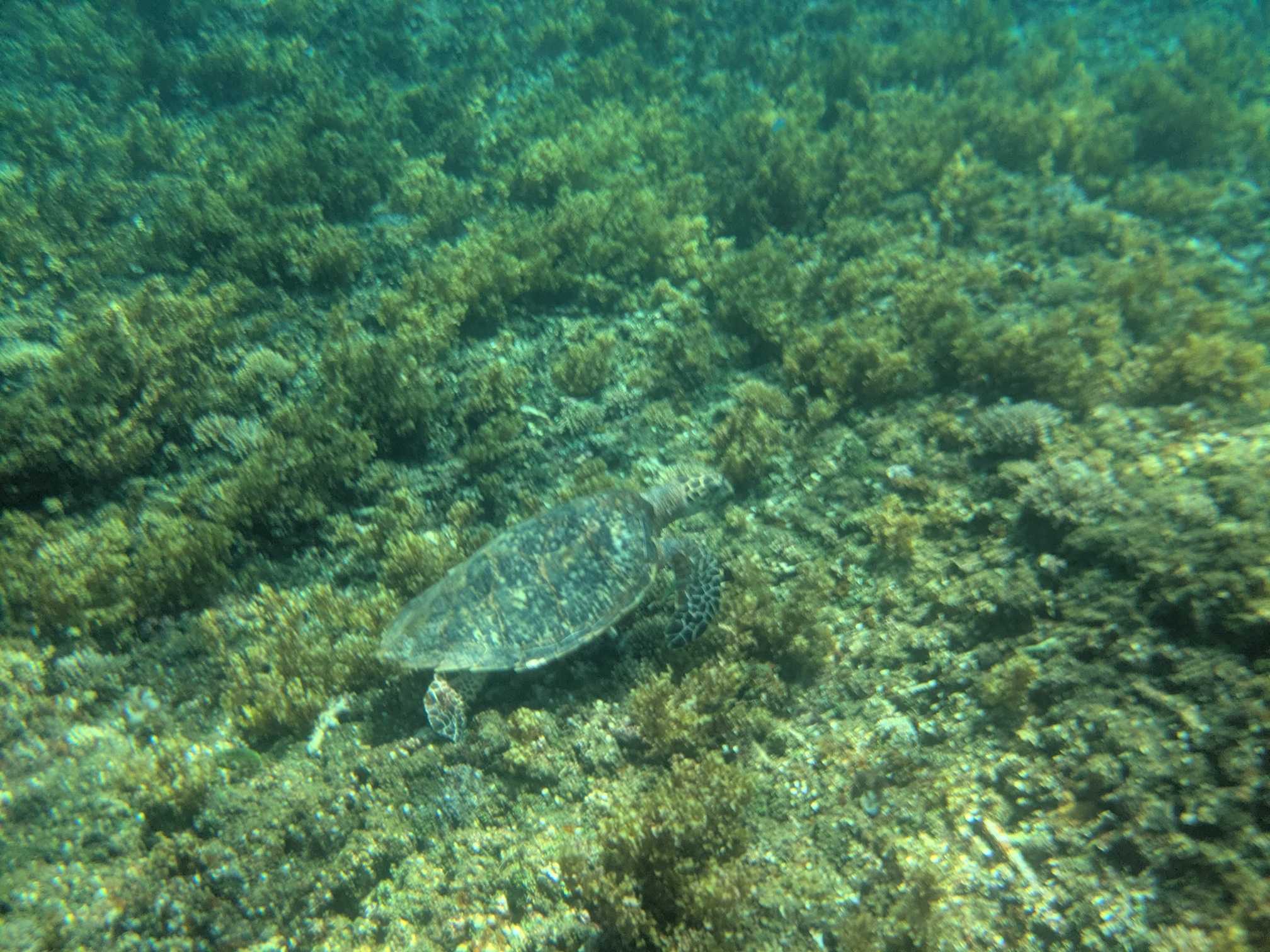
そして楽しみにしていたウミガメが見られるポイントへ
潜った瞬間にいた
ラッキー
これはタイマイちゃんかな
西表島 海猫 アクティビティツアー 子連れシュノーケル ウミガメ


西表島 海猫 アクティビティツアー 子連れシュノーケル ウミガメ


これがアオウミガメかな
タイマイの方が尖ったくちばしで甲羅がギザギザしていて、丸い顔がアオウミガメと仰っていたけど写真だとよくわからん
西表島 海猫 アクティビティツアー 子連れシュノーケル ウミガメ


水面まで上がってくる貴重な瞬間にも立ち会えました
西表島 海猫 アクティビティツアー 子連れシュノーケル ウミガメ
ここの近くにネブリブカもいたのが見られました
しかもアオウミガメちゃんは2匹いてラッキーでした


この後はバラス島に上陸しようとしましたが、波が荒いため断念
他のツアーの人もみんな断念したようでした
干潮前と干潮ちょうどくらいに2回行ってみましたが、上陸する場所はなさそうで無理やり行くことも出来なくもないみたいに言っていましたが、やめました
西表島 海猫 アクティビティツアー バラス島上陸は断念
昔は数mの高さの2つの島があったのが1つになって、西表島の方に移動してきて…
段々と今見たいなほとんど高さのない小さな島になって来たということです
いつか上陸できなくなっちゃうのかな…


このあともう一か所シュノーケリングしましたが、ママは疲れ切ったので船で休憩
西表島 海猫 アクティビティツアー 子連れシュノーケル


バラス島に行けなかったり海は荒れていたりで大変でしたが、盛沢山で楽しいツアーでした
このあとは水着のまま車でホテルまで送ってもらいました





お気に入りの記事を「いいね!」で応援しよう

最終更新日  2025.08.30 22:30:42


【毎日開催】
15記事にいいね!で1ポイント
10秒滞在
いいね! -- / --
おめでとうございます!
ミッションを達成しました。
※「ポイントを獲得する」ボタンを押すと広告が表示されます。
x
X

© Rakuten Group, Inc.
X

Design a Mobile Site
スマートフォン版を閲覧 | PC版を閲覧
Share by: