神戸・須磨海岸の釣果情報(吉川釣具店)

神戸・須磨海岸の釣果情報(吉川釣具店)

PR

Category

Profile

MASA3125

MASA3125

Comments

吉川釣具店です@ Re[1]:今日は釣り人1人、しかし‼️(07/25) Ys!さんへ。 コメントありがとうございま…
Ys!@ Re:今日は釣り人1人、しかし‼️(07/25) はじめまして ブログいつも楽しく見させて…
ありがとうございます😆@ Re:カレイ&キスも🎵(07/19) ブイがあっても釣れるんですね!次の連休…
MASA3125 @ Re[2]:カレイ&キスも🎵(07/19) 摂津市のTさんへ 助け船、ありがとうござ…
MASA3125 @ Re[1]:カレイ&キスも🎵(07/19) 浜崎伝助さんへ メッセージをご参考にな…

Calendar

Keyword Search

▼キーワード検索

Favorite Blog

気まぐれ日記 勝ちやん9486さん
2019.04.17
XML
カテゴリ: 釣果情報
吉川釣具店です。

4月17日の日記です。

愛犬ココが我家に来てから丸一年が過ぎました。

我家には懐きましたが他の人間、犬には恐怖心、警戒心があるのでしょう愛想が悪いです。

特に不審者には。

番犬としてもええ仕事してます。

毎朝、須磨海岸を散歩させているつもりが逆に散歩させられているみたいと人から言われます。





それでは釣果です。

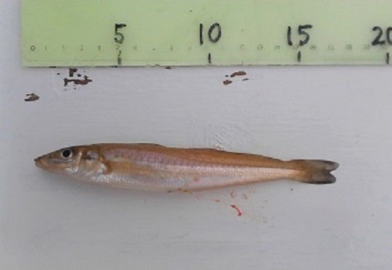
先日、今シーズン初のキスが上がりました。



これから水温も上がり、数も上向いてくれる事を期待しましょう。

須磨のIさんの貴重なキスです





カレイの釣果も良さそうです。

ただ、型に不満が残る方もおられるでしょうが30cmオーバーも上がってますので時の運。

大阪のKさん





神戸のHさん








お気に入りの記事を「いいね!」で応援しよう

Last updated  2019.04.17 09:15:44
コメントを書く


【毎日開催】
15記事にいいね!で1ポイント
10秒滞在
いいね! -- / --
おめでとうございます!
ミッションを達成しました。
※「ポイントを獲得する」ボタンを押すと広告が表示されます。
x
X

© Rakuten Group, Inc.
X
Design a Mobile Site
スマートフォン版を閲覧 | PC版を閲覧
Share by: