nyanko~みぃ姫&ショコラ

nyanko~みぃ姫&ショコラ

Sep 2, 2010
XML
カテゴリ: ショコラ




IMG_7596.jpg


        痙攣発作を押さえきれず、自らその毛を毟った跡


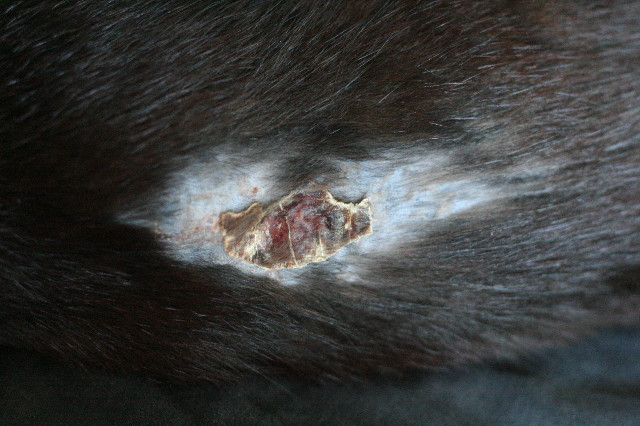
IMG_7598.jpg


       大体 トランプか人のこぶし程度の大きさ、結構広範囲


IMG_7605.jpg





 7月28日 約2週間後、皮膚が乾いて端からめくり上がってくる

IMG_7638.jpg


         その下から新しい皮膚が出来て、毛も生え始めた


IMG_7639.jpg

      カリカリを食べるにも、水を飲むにもなんにしろ付きっきり状態介護

   多分本当は出来るんだろうけど、生来の甘ったれはここぞとばかりに世話人’sを占有翻弄








IMG_7659.jpg

     この頃になるとパラボラ生活にも慣れてきて、時々タワーに登るなど徐々に動きも

    姐さんに蓋!(*1)や、世話人さん大丈夫ですかぁ~(*2)などの技も →下記参照



IMG_7661.jpg


      ただ、基本的には猛暑の中、まだぐったり動かない日々(じっくり自然治癒)






 8月6日 変形するジャーキーはまるでエリンギ?イカどっくりについてくるおちょこ?

IMG_7669.jpg



IMG_7671.jpg






 8月8日 もう~なんかしゃべりだしそう?!


IMG_7689.jpg





 8月9日 

IMG_7708.jpg




 8月10日  クレーターみたいになってきた

IMG_7719.jpg





 8月13日 (だんだんアワビの踊り焼きに見えてきた・・)


IMG_7721.jpg





 8月14日 ポロっと♪


IMG_7729.jpg





   解説>>> 画像に残せなかったので・・

     (*1) 姐さんに蓋!

       これはパラボラのまま姐さんの頭部をグルーミングしようとするので
      ペッタンコになっている姐さんに上から蓋をしてしまう状態になること。別名タジンみぃ



     (*2)世話人さん大丈夫ですかぁ~

       この酷暑の中、寝てばかりで起きてこようとしない世話人
      心配になった優しきパラボラキャットはその寝顔をペロペロしにくるのですが
      その姿はまるで救急隊の酸素マスクを装着する様そのもの
      でも、ずーっとやられると結構呼吸困難になり単なる嫌がらせとの噂もあり





  感動秘話、改め豆知識>>黒猫の毛って根元は白い、そして

       生えたばかりの毛はほんと真っ黒 だんだん陽にあたって茶色っぽくなるのかな?









お気に入りの記事を「いいね!」で応援しよう

最終更新日  Sep 2, 2010 02:37:22 PM
コメント(6) | コメントを書く
[ショコラ] カテゴリの最新記事


【毎日開催】
15記事にいいね!で1ポイント
10秒滞在
いいね! -- / --
おめでとうございます!
ミッションを達成しました。
※「ポイントを獲得する」ボタンを押すと広告が表示されます。
x
X

PR

プロフィール

ebinyu~ma

ebinyu~ma

バックナンバー

Nov , 2025
Oct , 2025
Sep , 2025
Aug , 2025
Jul , 2025

カレンダー

コメント新着

極上白玉 @ Re:あけましておめでとうございまする(01/01) あけましておめでとうございます。 今…
深大寺助六 @ Re:あけましておめでとうございまする(01/01) ことしもよろしくお願いいたしまする~
mie1969 @ お元気~? 強制的に年賀状を送りました、すいません(…
みーにゃん522@携帯より@ Re:あけましておめでとうございまする あけましておめでとうございます! 今年も…
テントワ @ Re:続き(というか種明かし?)(09/22) 長いことご無沙汰しちゃいました^^; ebi…

© Rakuten Group, Inc.
X
Design a Mobile Site
スマートフォン版を閲覧 | PC版を閲覧
Share by: