全605件 (605件中 1-50件目)

■伊勢市 川畑様■アジ22cm へダイ25cm サバ30cm
Nov 30, 2013
コメント(0)

■伊勢市 平野様■アジ22cm~39cm サバ30cm カサゴ15cm~25cm カマス25cm
Nov 30, 2013
コメント(0)

■奈良県宇陀市 野田様■へダイ<23cm25尾 ヒラメ42cm ボラ<55cm
Nov 15, 2013
コメント(1)

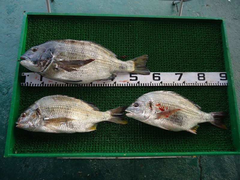
■津市 山原様■チヌ37cm キビレ31cm へダイ<21cm3尾
Nov 14, 2013
コメント(0)

■橿原市 岩田様■アジ39cm2尾 メジナ26cm カサゴ<17cm
Nov 14, 2013
コメント(0)

■奈良県山辺郡 小南様GP■アジ<20cm ハタ<25cm カサゴ20cm カマス
Nov 10, 2013
コメント(0)

■四日市市 斉藤様■キス<25cm33尾 ハタ27cm
Nov 10, 2013
コメント(0)

■奈良県磯城郡 吉岡様■チヌ39cm へダイ22cm41尾
Nov 8, 2013
コメント(0)

■愛知県あま市 吉様■アジ<30cm サバ<30cm ハタ33cm
Nov 8, 2013
コメント(1)

■名古屋市 伊藤様■メジナ<28cm8尾 カワハギ<20cm3尾 ハマチ37cm アジ<18cm17尾 ハタ24cm 他
Oct 5, 2013
コメント(1)

■奈良県宇陀市 野田様■ヒラメ43cm キビレ<30cm4尾 へダイ他
Oct 5, 2013
コメント(0)

■ 堺市 岡部様■カサゴ<29cm4尾 ハタ<24cm2尾 アジ<22cm29尾
Oct 4, 2013
コメント(0)

■松阪市 山内様 ■チヌ55cm キビレ42cm2尾 アジ30cm17尾 サバ30cm多数
Sep 23, 2013
コメント(0)

■名張市 片岡様、坂口様 ■チヌ37cm、45cm マダイ45cm
Sep 23, 2013
コメント(0)

■稲沢市 三輪様 ■アジ<30cm7尾 <19cm カマス36cm サバ<28cm10尾
Sep 23, 2013
コメント(0)

■松阪市 増田様■キス<23cm27尾 ハタ<24cm5尾 アジ<24cm8尾 サバ<28cm2尾
Sep 12, 2013
コメント(0)

■津市河芸町 高橋様■キビレ<43cm2尾 <33cm19尾 チヌ27cm
Sep 9, 2013
コメント(1)

■愛知県東海市 大東様■キビレ47cm カマス34cm 他
Aug 31, 2013
コメント(0)

■桑名郡木曽岬町 竹崎様■チヌ41cm キビレ33,5cm
Aug 31, 2013
コメント(1)

■名古屋市 村尾様■マダイ<30cm4尾 ハタ24cm6尾 カサゴ<25cm13尾
Aug 31, 2013
コメント(0)

■名古屋市 八木様■マダイ<42cm<33cm5尾 ハタ22cm6尾 カサゴ20cm2尾アナゴ
Aug 31, 2013
コメント(0)

■津市 高橋様■チヌ<34cm キビレ<46cm
Aug 26, 2013
コメント(0)

■奈良県橿原市 岩田様■マダイ<43cmカマス<42cm アジ<18cm ハタ23cm カサゴ17cm
Aug 26, 2013
コメント(0)

■名古屋市 小出様■チヌ46cm アジ<41cm2尾 キビレ28cm カサゴ、ハタ
Aug 25, 2013
コメント(1)

■四日市市 坂崎様■チヌ<43cm 6尾 キビレ
Aug 23, 2013
コメント(1)

■名古屋市 仙田様■チヌ36cm ヘダイ25cm マダイ<30cm2尾 アジ<35cm9尾
Aug 16, 2013
コメント(0)

■亀山市 羽田野様■アジ<30cm5尾<12cm30尾 ■アジ<30cm2尾<15cm50尾 キス15cm7尾
Aug 13, 2013
コメント(0)

■松阪市 堀様■アジ<33cm12尾 カサゴ<29cm11尾 マハタ<23cm5尾
Aug 13, 2013
コメント(0)

■菰野町 伊藤様■アジ<15cm50尾 ハタ35cm
Aug 13, 2013
コメント(0)

■上尾市 松本様■キス<15cm23尾アジ<16cm19尾ハタ<35cm2尾カサゴ<15cm3尾
Aug 13, 2013
コメント(0)

■四日市市 木戸様■キス<18cm40尾 ハタ22cm6尾
Aug 13, 2013
コメント(0)

■松阪市 梶間様■チヌ32cm、37cm、39cm アジ<31cm マダイ27cm
Aug 5, 2013
コメント(2)

■津市 森本様■チヌ40cm マダイ43cm アジ23cm
Aug 3, 2013
コメント(0)

■伊勢市 平野様■マダイ<29cm ヒラメ42cm アジ15cm カサゴ18cm ハタ20cm
Aug 3, 2013
コメント(0)

■尾鷲市 大町様GP■キス<22cm50尾 マダイ25,5cm カサゴ19cm キビレ21cm他
Aug 3, 2013
コメント(0)

■津市河芸町 高橋様■チヌ<40cm 13尾 ヘダイ<30cm 3尾
Jul 31, 2013
コメント(1)

■八尾市 仲井様■キス<22cm 50尾
Jul 31, 2013
コメント(0)

■津市 谷様■キス<25cm 45尾
Jul 31, 2013
コメント(0)

■津市河芸町 高橋様■チヌ38cm37cm34cm31cm
Jul 23, 2013
コメント(0)

■松阪市 松葉様■キス<24cm 48尾 マゴチ25cm
Jul 22, 2013
コメント(0)

■奈良市 下川様■キス<22cm 62尾 カサゴ
Jul 21, 2013
コメント(0)

■津市河芸町 高橋様■チヌ38cm36cm34,5cm28cm ヘダイ26cm
Jul 16, 2013
コメント(1)

■鈴鹿市 伊藤様■キス<21cm 49尾 カサゴ22cm
Jul 15, 2013
コメント(0)

■津市河芸町 高橋様■チヌ<38cm2尾 メジナ<24cm6尾 マダイ<27cm2尾 ヘダイ<25cm2尾
Jul 5, 2013
コメント(1)

■名古屋市 加藤様■チヌ<40cm4尾 ヘダイ27cm
Jul 5, 2013
コメント(1)

■鈴鹿市 矢橋様■チヌ<37cm2尾 へダイ26cm2尾 マダイ27cm4尾
Jul 1, 2013
コメント(1)

■伊勢市 平野様■アジ <39cm7尾
Jun 29, 2013
コメント(1)

■京都府長岡京市 杉森様■チヌ<46cm3尾 <39cm4尾 マダイ<43cm2尾
Jun 28, 2013
コメント(3)

■堺市 岡部様■アジ<31cm 10尾
Jun 27, 2013
コメント(0)

■名張市 片岡様■チヌ<41,5cm2尾 マダイ52cm
Jun 24, 2013
コメント(0)
全605件 (605件中 1-50件目)