

久しぶりの今年5回目のカゴ夜釣り、前回2回は完璧グリグリ丸坊主で落胆し1ヶ月カゴ釣りを休みました。
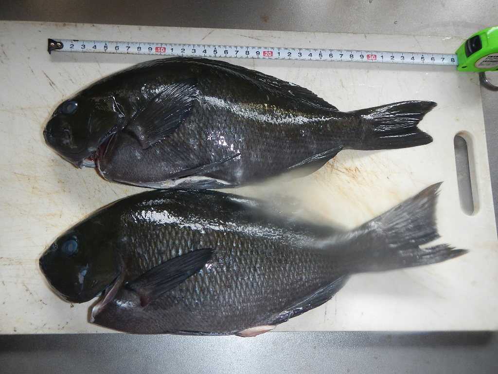
現地に着くと海況は良しで釣れそうな気配、しかし結果はPm11:00まで粘るも釣果は写真の36㎝メジナ2匹で終了だが、3回目の丸坊主を免れただけで良しと納得。
今回の釣行は迷った末に車検を受けたばかりの27万K走行の好調エヴリイ4駆で行くことに。
今年の一月に義弟との片道100kmアジカゴ夜釣行時の帰り、高速道路でヒーターホース切れオーバーヒートでJAFのお世話になり、低年式高走行距離車両の怖さを体験したのに、なぜ今回もエヴリイで行くことにしたのか?。
その理由は、エヴリイ車両の調子がすこぶる良く、4駆軽バンは室内が広くアウトドア―に使い勝手が良い事にありますが、しかし、調子が良いといっても27万Kの走行距離が問題で、隠れたアクシデントの元は各所にあります。
今回の釣行でも家を出て1時間ほど走った時点でエアコンが利かなくなり、エアコン故障は想定内でしたから家に戻る事も考えましたが、エアコンを切り窓を全開放で行くことに決定。
しかし、その後40分ほど走っていると、アクセルを踏んでも加速が鈍くなりエンジンパワーが無くなっていきます。
水温計を見ると正常です。これはおかしいと安全な路肩に車を止めエンジンルームを開けると、ゴムの焦げた匂いがして、エアコンコンプレッサーを見るとエアコンクラッチがロックし、エアコンベルトが滑っていました。
これではエンジンパワーは出ません。原因が解りほっと一安心し、タバコを付けて一服しながら車載工具からナイフを取り出しエアコンベルトを切断します。
その後はエンジンパワーも元に戻って順調に走り、釣りを終えた後の帰路も無難に夜半のAm1:30分に帰宅できました。
27万K走行の絶好調ウエヴリイ4駆で今年に入って2回のアクシデントを経験しましたから、今後は夜間片道100km超えの走行は止めて、夜間行程50Km未満の近場走行に限定しようと考えています。
遊び好きのロートル75歳、体力精力とも落ちてヘロヘロですが、好きな遊びとなるとまだまだガッツが出るようです。
Category
Comments