小平太1098のブログ

小平太1098のブログ

PR

キーワードサーチ

▼キーワード検索

カレンダー

コメント新着

終末の預言 @ Re:今日も草取り。(07/13) ルカによる福音書 21章 21:10そして更に、…
小平太1098 @ Re[6]:チランジアを屋外に出した(04/15) 了解です。 よろしくお願いいたします。
うめざわとそう@ Re[5]:チランジアを屋外に出した(04/15) 小平太1098さんへ ありがとうございます。…

フリーページ

カテゴリ

カテゴリ未分類

(727)

パキポディウム

(277)

ドルステニアギガス

(140)

サルコカウロン

(11)

亀甲竜

(4)

プテロディスカス

(21)

アデニウム

(62)

小田園芸

(63)

錦さんご

(18)

自転車

(16)

ハオルチア

(66)

アイスランド

(26)

パキポディム・えびす笑い

(55)

パキポディム・エブレネウム

(56)

パキポディム・イノピナツム

(44)

パキポディム・バロニー

(23)

パキポディム・ウィンゾリー

(99)

パキポディム・デカリー

(43)

パキポディム・えびす大黒

(39)

パキポディム・アンボンゲンセ

(18)

パキポディム・グラキリス

(12)

断崖の女王

(54)

花きりん

(59)

パキポディウム・ビスピノーサム

(13)

奇想天外・welwitschia mirabilis

(12)

ユーフォルビア

(181)

ウンカリーナ

(78)

フォッケア

(24)

メセン

(49)

パキポディム・ナマクアナム

(17)

カナリーヤシ

(3)

蘇鉄

(211)

沖縄

(12)

バオバブ

(25)

マタレアシクロフィラ

(26)

パキポディウム・ビカラー

(3)

ピレナカンサ

(26)

サボテン

(160)

シダ

(105)

ビカクシダ・リドレイ

(7)

ビカクシダ・コロナリウム

(29)

ビカクシダ・Mt.キッチャクード

(3)

ビカクシダ・ワリチー

(7)

ビカクシダ・ホルタミー

(4)

ビカクシダ・ダウボーイ

(4)

ビカクシダ・ビーチー

(14)

ビカクシダ・ビフルカツム

(4)

アリ植物

(67)

ネペンテス

(13)

ビカクシダ

(76)

ユッカ

(50)

ヤシ

(143)

グラスツリー

(47)

アガベ

(398)

エケベリア

(63)

アロエ

(65)

サンスベリア

(33)

畑の様子

(218)

冬型塊根植物

(49)
2023.07.22
XML


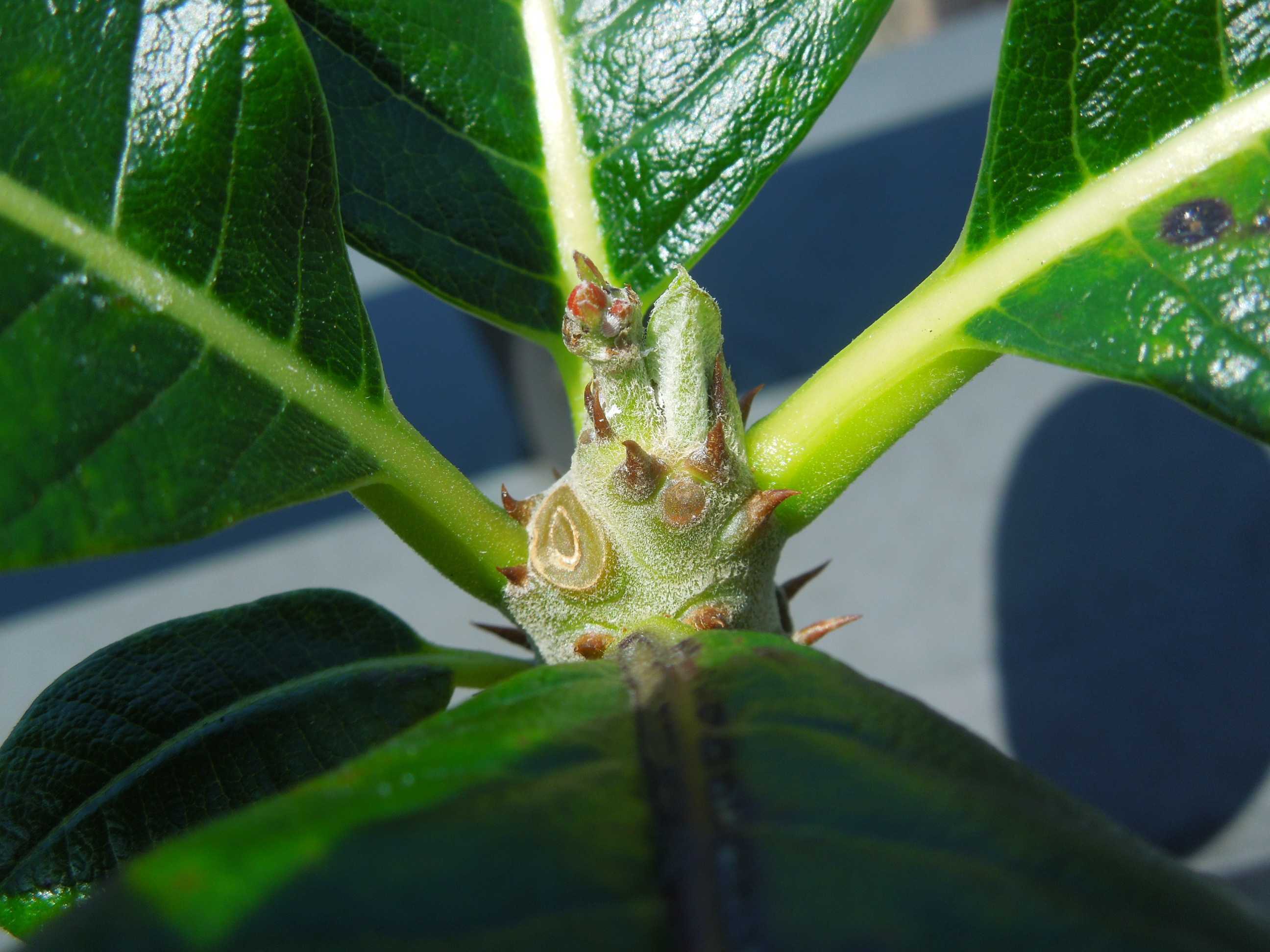
ウインゾリー。


収穫後少し1週間少々日を置いて植え替え。

上手く活着したようで新芽が出てきた中に赤い点。


花芽だった。


他にも・・・


植え替えの効果か???

こんなことは初めて・・・

1年に2回開花するの???

植物に負担を掛けないように花芽は取ってしまった方が良いか・・・




まだ、屋内用温室のものも・・・


玄関先軒下に出したものも、問題無く育っているみたいだ。






お気に入りの記事を「いいね!」で応援しよう

最終更新日  2023.07.22 10:00:11
コメントを書く
[パキポディム・ウィンゾリー] カテゴリの最新記事


【毎日開催】
15記事にいいね!で1ポイント
10秒滞在
いいね! -- / --
おめでとうございます!
ミッションを達成しました。
※「ポイントを獲得する」ボタンを押すと広告が表示されます。
x
X

© Rakuten Group, Inc.
X
Design a Mobile Site
スマートフォン版を閲覧 | PC版を閲覧
Share by: