世界遺産とケンチク探訪の旅2

世界遺産とケンチク探訪の旅2

PR

Profile

VanDANAO

VanDANAO

Comments

北京猫 @ Re:海の日なので(二日目)(08/20) カエルアンコウは、なかなか味のあるいい…
北京猫 @ Re:リベンジ。滋賀(11/30) 信楽焼きなら狸ですね。 ラーメン快食で…
VanDANAO @ Re[1]:ケニア・タンザニア失業旅行。その16(02/16) >serenaさん はじめまして >ケニア…
serena@ Re:ケニア・タンザニア失業旅行。その16 はじめまして 来週から1人旅でケニアに行…
nadeshikosan_chi @ こんな こんな真っ白な砂浜が日本にあるのですね…

Calendar

Keyword Search

▼キーワード検索

2008.08.15
XML
カテゴリ: 海へ
 離島生活3日目。

 朝はゆっくりめに、大盛り平らげたら海へ

うみ

ほぬほぬ

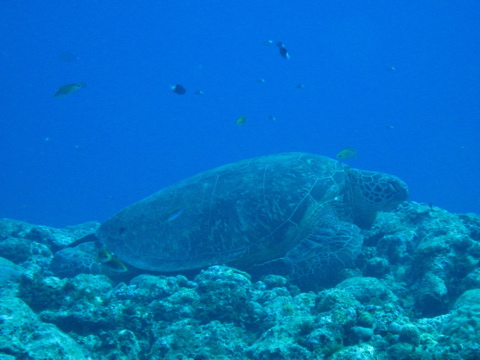
最後のダイブは「カメポイント」カメ三昧なヨロンらしいスポット
 朝イチで、ポイント一番乗りで蒼い海へ潜行。
珊瑚礁の至る処に、カメが眠りこけてました
まず、目を覚ましたものから、ウザったそうに泳ぎ去っていきます
 いちま~い。2枚、3枚。。。

それでも、眠り続ける輩も結構いて、さすがに大物です


 ふつうの魚たちとも、撮影会を行いまして、1時間弱のダイブ終了
名残惜しくも、今回のダイビングはオプションなしで終了
 わたくし一人きり、というのも落ち着かないですし
団体の体験ダイブの仕事が入っちゃったとかで、タカハシさんも忙しそう
ただ、のんびりヨロンな感覚で、そんなに仕事したくなさそうでしたが
 仕事もそれなりにあるようで、安心しました

で、午後はというと、名所であります「百合が浜」に行くことにしました
 宿のおじいちゃんに相談すると、
ほかの客が送迎バスで行くから、いっしょに乗ってけ。という
関西から来た大家族と一緒にグラスボート組合の送迎バスで、百合が浜へ

百合が浜

 与論島の東側にひろがる大金久海岸は、

大金久海岸の沖合1.5kmに干潮時だけに姿を現す真っ白な砂浜、百合ヶ浜。
 おりしも、満月の大潮と重なり、刻もちょうど干潮時

ちびっこ

関西の大家族は、小学生ふたりが海中公園でシュノーケリング
ほかの方々は百合が浜に行かれるというので、私が引率することになった

 沖合の環礁の内側が浅場になっており、シュノーケリングすると

1時間ほど、チビッコたちとシュノーケリングしてから、百合が浜の方へ

うりがはま

 干潮時だけ砂地が姿をあらわす百合が浜ですが
シュノーケリングしていた分だけ、潮が満ちてきてました
まだまだ、海面に砂地が出ていたので、ぐるっと歩いて回る
 最後に残った砂地に、四方八方から波が押し寄せ
誰かが作ったであろう砂山も、じわじわと沈んでいきます

 星の砂があるというのも有名なのですが、
砂をさらっていても、なかなか見つかりません。
はい、土産物屋でゲットしましょう

小1時間、百合が浜が沈むまで遊んできまして、チビッコたちと帰還
送迎バスで宿まで送っていただきました

 離島生活3日目は、まだまだつづきます





お気に入りの記事を「いいね!」で応援しよう

Last updated  2008.08.21 22:41:25
[海へ] カテゴリの最新記事


【毎日開催】
15記事にいいね!で1ポイント
10秒滞在
いいね! -- / --
おめでとうございます!
ミッションを達成しました。
※「ポイントを獲得する」ボタンを押すと広告が表示されます。
x
X

© Rakuten Group, Inc.
Mobilize your Site
スマートフォン版を閲覧 | PC版を閲覧
Share by: