Kenken's Garage Life

Kenken's Garage Life

PR

キーワードサーチ

▼キーワード検索

カレンダー

コメント新着

kenken3234 @ Re[1]:MERIDA X BASEレンタル試乗車を特別販売!(08/21) shimpsonsさんへ コメントありがとうござ…
shimpsons @ Re:MERIDA X BASEレンタル試乗車を特別販売!(08/21) いつも楽しくよませていただいております…
kenken@ Re[1]:【Z51ムラーノ】エアコンガスチャージ(07/05) 田中ですさんへ ガスを注入して2年ほどは…
田中です@ Re:【Z51ムラーノ】エアコンガスチャージ(07/05) コメント失礼致します。 エアコンは現在…
kenken3234 @ Re:【Z51ムラーノ】スタビライザーリンク交換(11/26) コメントありがとうございます。 スタビ…
2019.06.15
XML
カテゴリ: ムラーノ
タイヤが、減ってきていたので、見積もりしてもらいました。

現在はいているタイヤがジオランダーSUVですが、直進安定性がイマイチ。
冬にBSのスタッドレスをはかせると急に直進安定性がよくなります。
3部山ぐらいなんですが、急にグリップが悪くなってきました。
ノイズは抑えられているほうだと思いますが、もう少し静かにしたいと思っています。
なるべく静かなタイヤで乗り心地が穏やかなタイヤをということで、先人たちのインプレを見たところ、ブリヂストンのデューラーH/L850がよさそうということになりました。


235/65R18 106H ヨコハマ ジオランダー SUV G055 サマータイヤ 新品1本 国産車 輸入車


ブリヂストン 235/65R18 DUELER H/L 850

通販がぶっちぎりで安いのですが、このでかいタイヤを発送してもらって持ち込んで交換してもらう手間を考えるとあまりいい手ではありませんね。
持ち込みで工賃払うとほとんど差がないうえに、面倒です。

前回は、コストコで換えました。
https://plaza.rakuten.co.jp/kenken34/diary/201307210000/


安いですね。
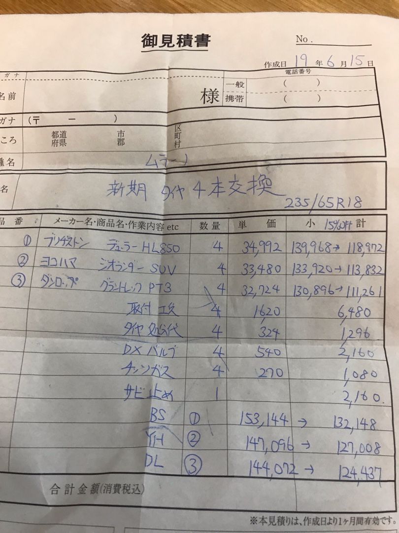
ブリヂストンは高いのは最初からわかっていましたが、12万円強でした。(2割引)
コストコの場合、タイヤ代に工賃・窒素ガス・ゴムバルブが含まれています。
11万円を切るぐらいになるかなと思っていましたが、仕方ありませんね。
アレンザはさらに1本7千円ぐらい高いそうです。

ちょっと高いかなと思いましたが、性能面に期待してデューラーにすることにしました。

本当に高いのか疑問だったので、コストコ近くのオートバックスさんに行ってみました。
各社一律の15%オフが限界だそうです。
なおかつ工賃・バルブ・窒素ガスは別。
サビ止めって何だと持ったらディスクローター面の錆を落としてなんか塗るようです。
そんなことしなくてもいいのでは?
https://machida.ia-gr.com/machida18/


YHは、完全にコストコの勝ち。3万円ぐらい差が開いています。
念のため、もう少し安くならないかと聞いてみましたが、限界だそうです・・・。

結論、オートバックスには義理はないので、コストコにすることにしました。
ほかに安いところもあるのは知っているのですが、これ以上は時間をかけて見つけるのも面倒なんで・・・。
わかってはいましたが、オートバックスのタイヤはやっぱり安くないですよ・・・。

タイヤの在庫はないので、注文することなりました。



<その後交換してきました>
https://plaza.rakuten.co.jp/kenken34/diary/201906210000/


そうそう、関係ないのですが、コストコでサーベロのS3アルテグラが爆安!





税込 298,000円!
ただし、3年ぐらい前のモデルですがね。
定価は、600,000円+税らしいので、約半額ですね。
アルテグラは6800だったりするので、R8000にこだわりがなければ、無茶苦茶安いですよ。
51が2本。56が1本。
3週間前から在庫が減っていませんから、売れていないみたいですが・・・。





お気に入りの記事を「いいね!」で応援しよう

最終更新日  2021.01.25 20:24:24
コメントを書く


【毎日開催】
15記事にいいね!で1ポイント
10秒滞在
いいね! -- / --
おめでとうございます!
ミッションを達成しました。
※「ポイントを獲得する」ボタンを押すと広告が表示されます。
x
X

© Rakuten Group, Inc.
X
Mobilize your Site
スマートフォン版を閲覧 | PC版を閲覧
Share by: